Nieuwe toplandingsplaatsen Coo

Gepubliceerd op 11 oktober 2016

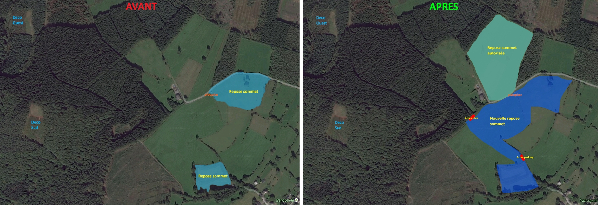
Louis Neys heeft meerdere bijkomende toplandingsterreinen bekomen, zie foto's (VOOR:


Ster

 

 

 

 

 

 

 

 

 

 

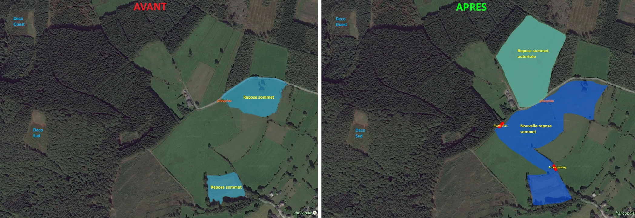
en NA:

coo